Lakewood Village
in the 1950s
LVNA.NET Home : Lakewood Village : History and Profiles : 1950s
Previous Page Up One Level Next Page

Do you have any information or materials to share about this period of Lakewood Village’s history? Here’s how to help with this history project.

The 1950s was a time of explosive growth in Sunnyvale and surrounding cities. In particular, the early 1950s saw the cities annexing land so voraciously that legal disputes erupted between cities that thought each other was trying to annex “their land”. The city of Cupertino was formed around that time, in large part as a defense from being annexed by Sunnyvale or San Jose.

Among the annexations by Sunnyvale was an area of land north of Highway 101 on both sides of Lawrence Station Road which became Lakewood Village.

 

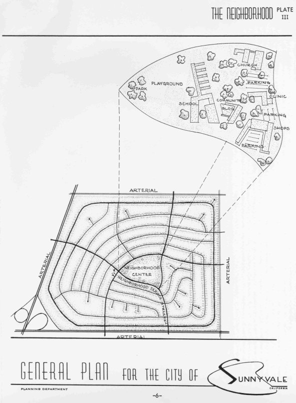
Images and Galleries

Below are some images from Lakewood Village in the 1950s.

Parts of an original sales brochure for Lakewood Village homes. .

Blurry photo of an actual billboard promoting Lakewood Village during its construction.

A page from the 1957 General Plan, showing Sunnyvale’s curvelinear “neighborhood” concept.

1955 Classified advertisement for Lakewood Village homes.

Gallery of photos of the Fairwood side in the mid- to late-1950s

1955 map of Sunnyvale. Note that only half of Lakewood Village has been built (units I and II).

News and Events

Year

Month

News / Event

1954

February

Sunnyvale launched a plan to annex 129 acres from the County, including the Santa Clara Valley Airport area at the northeast corner of Lawrence Station Road and the Bayshore Highway

August

Airport area is zoned for “planned community” development.

November

Developer submitted plans for a 350-home tract at the northwest corner of Lawrence and Bayshore.

December

Developer submitted plans for a 409-home tract and a 304-room motel at the northeast corner of Lawrence and Bayshore.

1955

February

Sunnyvale filed for annexation of 150 acres at the northeast corner of Lawrence and Bayshore, rounding out the City’s ownership of all four corners of that intersection.

June

Branden Construction Company is issued building permits for 105 homes in the Lakewood Village tract. One month later, Branden applied for another 155 permits.

August

This classified advertisement for Lakewood Village homes first appears in the Sunnyvale Standard newspaper.

December

The Christmas Flood of 1955 flooded parts of Lakewood Village. After 13 consecutive years of drought and an ambitious cloud-seeding program, rain fell for almost two weeks and flooded Sunnyvale’s lowlands. Although levees have been improved, some parts of Lakewood Village are still considered to be in a flood area.

1956

March

General Motors purchased 200 acres of land at Oakmead and Lawrence from Southern Pacific Railroad, but later decided to build its assembly plant in Fremont.

1957

November

Lockheed purchased 275 acres of land in Sunnyvale to build its Lockheed Missiles and Space facility (now Lockheed Martin).

1958

January

The Lakewood Village Resident’s Association (LVRA) was formed.

February

The LVRA Social Committee was formed. They held bake sales and rummage sales, organized social events, and initially, distributed The Villager. Sometime later, local Scout troops took over distribution of The Villager.

Lakewood Park facilities proposed by the City

March

Weekly street sweeping was started.

April

The first issue of The Villager was published.

July

The first Lakewood Village Picnic was held -- at Blackberry Farms, because there was no park in Lakewood Village at the time. A second picnic was also held in Washington Park.

Insect problems reported.

A fence was planned for blocking access to Calabazas Creek from Havenwood, primarily because of the danger to children.

August

Vandalism of public property were widely reported.

First advertisements appear in The Villager.

October

Ground was broken for the Lakewood Methodist Church (still existing on at the same location).

The “Teenage LVRA” was established.

November

Plans were announced for Dick’s Lakewood Center shopping plaza.

The City of Sunnyvale as petitioned by the LVRA to build a fire station close to Lakewood Village.

December

An LVRA Christmas Party was held at “The Escort Club”.

1959

March

Lakewood School was completed.

Lakewood Shell service station opened for business.

April

Groundbreaking for Dick’s Supermarket

May

A “Lakewood Village Aquatic Club” was announced. It was to be a members-only private enterprise to be at Manzano and Oak Creek, with 2 adult pools, 1 child pool, clubhouse, outdoor games area for croquet and horseshoes, and plans for miniature golf and tennis courts

June

The LVRA was incorporated as a nonprofit organization.

Lakewood Methodist Church opened.

An additional 95 homes were proposed to be constructed on the “Rivas Ranch” area on Lakehaven.

October

A “smelly” air pollution problem was reported.

Dick’s Supermarket opened.

December

The first Lakewood Village Holiday Lighting Contest was held.

The first Lakewood Village Holiday Parade was held.

Top of This Page

[Lakewood Village] [The LVNA Villager] [Events and Activities] [The LVNA] [Resources]

Contact Info

Copyright ©2002-2008 Brian Smithson
All Rights Reserved

About LVNA.NET